Ashday Works (Phase 2)
Ashday Works (Phase 2)
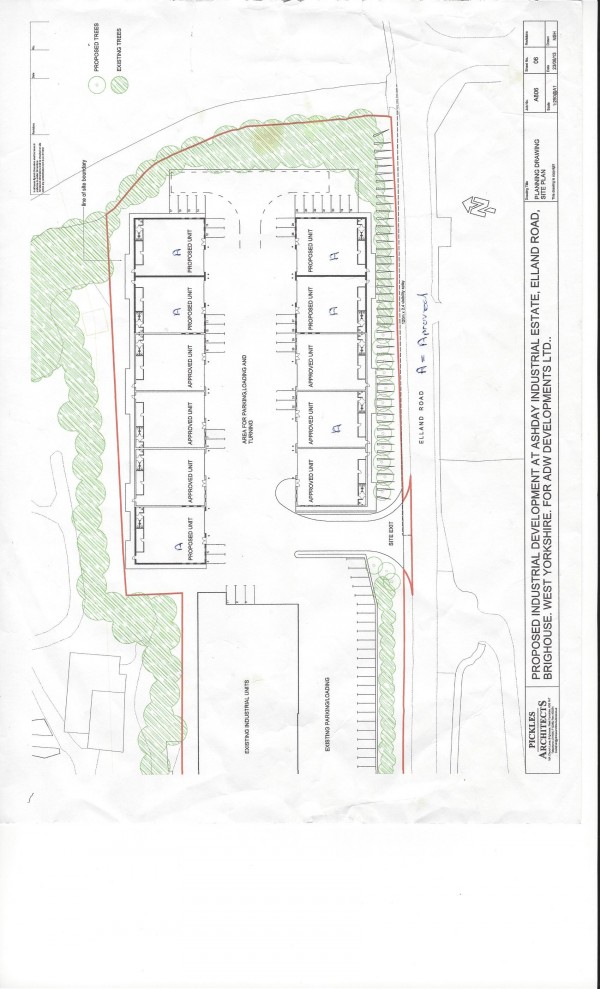
Elland Road, Elland, West Yorkshire, HX5 9JB
Cost (per sq ft): £LET
Letting status: Not currently Available
Letting status: Not currently Available






2 Acres Past for 11 x 3000 Sqft Industrial / Storages Portal Frame Units
Units
| Unit No. | Area (sq.ft.) |
|---|---|
| Property 4 | 2500 |
| Property 5 | 1500 |
Map location
Find out more
If you’d like to learn more about this property please get in touch with us today.